Via Paul Makelaardij
Nieuw in verkoop

Te koop: Van Bijsterveldtstraat 20, 5089 NP Haghorst

€ 735.000,- k.k.

Beschrijving

BIJSTERVELDTSTRAAT 20 HAGHORST

Aan de charmante Van Bijsterveldtstraat in Haghorst ervaart u het beste van twee werelden: de rust van het dorpse leven én de ruimte van het Brabantse buitengebied. Deze rustige straat kenmerkt zich door een vriendelijke woonomgeving met vrijstaande woningen, veel groen en een prettige, ruim opgezette structuur. Hier wonen betekent thuiskomen in een omgeving waar buren elkaar nog kennen en waar rust en ruimte vanzelfsprekend zijn. Het dorp Haghorst staat bekend om zijn gemoedelijke karakter en centrale ligging in de regio. Binnen enkele minuten bevindt u zich in het omliggende landschap met uitgestrekte velden, landelijke wegen en prachtige natuurgebieden die uitnodigen tot wandelen, fietsen en genieten van het buitenleven. Tegelijkertijd liggen voorzieningen, scholen en uitvalswegen richting omliggende steden op korte afstand, waardoor het dagelijkse leven comfortabel en praktisch blijft. De Van Bijsterveldtstraat vormt daarmee een bijzonder fijne woonplek: rustig, groen en ruim, maar toch uitstekend verbonden met de rest van de regio. Een plek waar u elke dag opnieuw het gevoel heeft dat u nét even buiten de drukte woont, zonder dat u iets hoeft te missen.

Sfeervol wonen met ruimte, licht en comfort
Op een rustige en ruim opgezette locatie staat deze moderne vrijstaande woning in stijlvolle jaren ’30-architectuur. De woning combineert de warme uitstraling van klassieke bouwstijl met het comfort van hedendaags wonen. Denk aan royale leefruimtes, grote raampartijen, hoogwaardige afwerking en een heerlijk lichte sfeer in vrijwel iedere ruimte.

Een warm welkom
Via de entree komt u binnen in een verzorgde hal met meterkast, trapopgang en een ruime garderobe. De luxe toiletruimte is modern uitgevoerd met een zwevend closet en een stijlvol fonteintje. De hal vormt een uitnodigende binnenkomst en geeft meteen een indruk van het hoge afwerkingsniveau dat u in de rest van de woning zult aantreffen.

Een woonkamer waar licht en ruimte samenkomen
De woonkamer vormt het hart van het huis. Deze ruime L-vormige leefruimte ademt licht, comfort en gezelligheid. Grote ramen laten het daglicht rijkelijk binnenstromen en creëren een open verbinding met buiten. De sfeervolle erker geeft de ruimte karakter en biedt een prachtige plek voor een royale zithoek of een fijne leesplek. Via de openslaande tuindeuren loopt u zo de tuin in, waardoor binnen en buiten op mooie dagen moeiteloos in elkaar overlopen. Hier ontstaat een woonruimte waar het hele gezin samenkomt, waar lange avonden met vrienden vanzelf ontstaan en waar ieder seizoen zijn eigen charme heeft.

Koken met stijl en gemak
De moderne keuken is uitgevoerd in een praktische U-opstelling en vormt een heerlijke plek voor kookliefhebbers. Het granieten aanrechtblad geeft de keuken een luxe uitstraling en biedt volop werkruimte. De keuken is uitgerust met onder andere: een 5-pits gaskookplaat, RVS afzuigkap, en een vaatwasser. Hier kookt u met gemak voor familie of gasten, terwijl u via de open verbinding toch contact houdt met de woonkamer.

Praktisch en multifunctioneel
Aansluitend aan de keuken bevindt zich de bijkeuken, een bijzonder praktische ruimte met een loopdeur naar de achtertuin. Hier is plaats voor was- en droogapparatuur en vindt u tevens een extra keukenopstelling met een ingebouwde oven en magnetron.

Vanuit de keuken bereikt u de multifunctionele speel- of werkkamer. Momenteel ingericht als thuiswerkplek, maar deze ruimte biedt talloze mogelijkheden: een speelkamer, hobbyruimte, praktijkruimte of zelfs een slaapkamer met badkamer op de begane grond. Hierdoor kan de woning relatief eenvoudig levensloopbestendig worden gemaakt.

Ruimte en rust op de eerste verdieping
De eerste verdieping biedt een ruime overloop met toegang tot drie comfortabele slaapkamers. Elke kamer heeft zijn eigen sfeer en biedt volop mogelijkheden voor slapen, werken of studeren. De moderne badkamer vormt een heerlijke plek om te ontspannen. Deze volledig betegelde ruimte is uitgerust met een riante inloopdouche met thermostaatkraan, een ligbad, een toilet en een dubbele wastafel.

Extra ruimte op de tweede verdieping
De tweede verdieping biedt nog meer mogelijkheden. Op de overloop vindt u toegang tot de bergkamer/technische ruimte met de opstelling van de cv-combiketel (Nefit; 2002) en het balansventilatiesysteem. Daarnaast bevindt zich hier een ruime vierde slaapkamer, voorzien van een zijraam en een dakraam waardoor ook deze verdieping heerlijk licht aanvoelt. Ideaal als logeerkamer, tienerkamer of extra werkruimte.

Een tuin om van te genieten
De buitenruimte van deze woning is met veel zorg en gevoel voor stijl aangelegd. De voortuin, oprit en carport zorgen voor een verzorgde eerste indruk. De achtertuin, gelegen op het oosten biedt volop privacy. Hier geniet u van verschillende zitplekken, groene borders en een zonnig terras waar u vanaf de ochtendzon al heerlijk kunt ontspannen. De fraaie terrasoverkapping maakt het mogelijk om ook op minder zonnige dagen buiten te zitten. Daarnaast beschikt de tuin over een zijtuin, achterom en meerdere sfeervolle plekken om te genieten van rust en buitenleven. Achter in de tuin staat een vrijstaande stenen berging. Ideaal voor fietsen, gereedschap of hobby’s.

Kenmerken van de woning:
Bouwjaar: 2002;
Woonoppervlak: 193 m²;
Perceel oppervlak: 445 m²;
Inhoud: 682 m³;
Zonnepanelen: 14 (2017)
Energielabel B geldig tot en met 04-04-2027;
NEN 2580 meetrapport*.

Wil je deze bijzondere woning met zijn vele mogelijkheden bezichtigen?
Dat begrijpen wij heel goed!
Bel of mail ons dan voor een afspraak:

Tel: 013 - 30 33 195
Mail: info@viapaulmakelaardij.nl

Via wie?
Via Paul Makelaardij natuurlijk!
Via wie anders?

* De NEN 2580 meetnorm is een eenduidige meetnorm, waarbij met bepaalde richtlijnen rekening gehouden wordt. Zo wordt o.a. een zolder zonder vaste trap of met een lichtoppervlakte (bv dakraam) kleiner dan 0,5 m² niet tot de woonoppervlakte gerekend. Hierdoor kan de woonoppervlakte soms kleiner lijken dan de daadwerkelijke vloeroppervlakte en kleiner lijken dan bij vergelijkbare woningen waar de makelaar de meetnorm niet toe heeft gepast. Ondanks het feit dat de meetnorm verplicht is, hanteren niet alle makelaars consequent de norm. Via Paul Makelaardij laat haar woningen inmeten door een erkend bedrijf. Het meetrapport van deze woning is dan ook, indien gewenst, ter inzage.

Ten aanzien van deze verkoopbrochure zijn de gegevens in deze brochure met de grootste zorg samengesteld. Voor de juistheid van de verstrekte informatie zijn wij in grote mate afhankelijk van derden. Aan vermelde tekst, maten en bijgevoegde tekeningen kunnen derhalve geen rechten worden ontleend. Via Paul makelaardij en de verkoper aanvaarden geen aansprakelijkheid ten aanzien van de gegevens in deze brochure.

Kenmerken

Overdracht
Vraagprijs € 735.000,- k.k.
Status Nieuw in verkoop
Aanvaarding In overleg
Aangeboden sinds Maandag 16 maart 2026
Bouw
Type object Eengezinswoning, woonhuis, vrijstaande woning
Soort bouw Bestaande bouw
Bouwjaar 2002
Dakbedekking Dakpannen
Type dak Zadeldak
Isolatievormen Volledig geïsoleerd
Oppervlaktes en inhoud
Perceeloppervlakte 445 m²
Woonoppervlakte 193 m²
Woonkameroppervlakte 50 m²
Inhoud 682 m³
Oppervlakte externe bergruimte 15 m²
Oppervlakte gebouwgebonden buitenruimte 35 m²
Indeling
Aantal bouwlagen 3
Aantal kamers 7 (waarvan 4 slaapkamers)
Locatie
Ligging Aan rustige weg
In woonwijk
Tuin
Type Achtertuin
Hoofdtuin Ja
Oriëntering Oosten
Heeft een achterom Ja
Tuin 2 - Type Achtertuin
Tuin 3 - Type Voortuin
Energieverbruik
Energielabel B
CV ketel
CV ketel Nefit Ecoline HRC 30
Warmtebron Gas
Bouwjaar 2002
Combiketel Ja
Eigendom Eigendom
Uitrusting
Aantal parkeerplaatsen 2
Warm water CV-ketel
Verwarmingssysteem Centrale verwarming
Vloerverwarming (gedeeltelijk)
Badkamervoorzieningen Dubbele wastafel
Inloopdouche
Ligbad
Toilet
Wastafelmeubel
Heeft kabel-tv Ja
Glasvezelaansluiting aanwezig Ja
Tuin aanwezig Ja
Heeft schuur/berging Ja
Heeft een dakraam Ja
Heeft zonnecollectoren Ja
Heeft ventilatie Ja
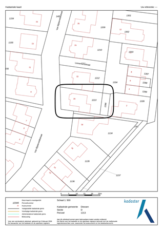
Kadastrale gegevens
Kadastrale aanduiding Diessen D 1213
Perceeloppervlakte 375 m²
Omvang Geheel perceel
Eigendomsituatie Eigen grond
Kadastrale aanduiding Diessen D 1286
Perceeloppervlakte 70 m²
Omvang Geheel perceel
Eigendomsituatie Eigen grond
Neem contact met mij op

Plattegronden

Brochure(s) en overige bijlagen